0 Alfred St.Attleboro, MA 02703
Due to Coronavirus health concerns, we're offering personal 1-1 online video walkthrough tours where possible.


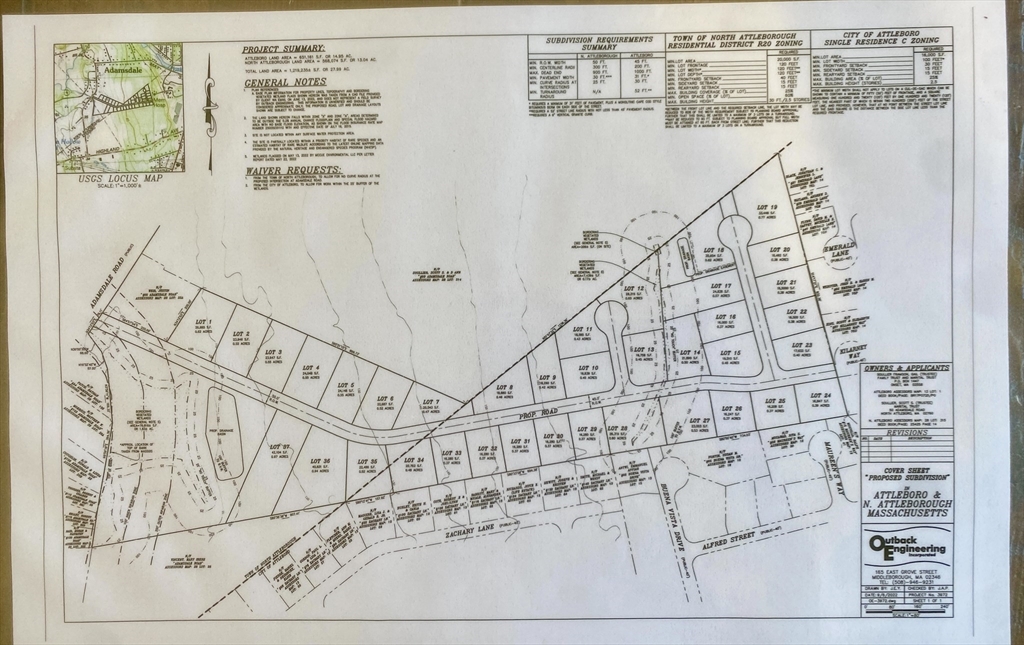
RARE DEVELOPMENT OPPORTUNITY – Approximately 28 Acres of farm land extending from Alfred St. Attleboro to Adamsdale Rd., North Attleborough with a potential for 37 SF home sites. (Also See MLS Listing No. 73466915 for information on the portion located in North Attleborough) Access is off the cul-de-sac on Kilarney Way. The parcel is offered in its entirety. List price reflects price for entire parcel. This property is subject to a Petition to Partition. Seller will secure Land Court approval for best offer. Closing date is subject to Land Court approval. There are no existing leases in place. The property is sold "as is" without warranties or representations whatsoever. Buyer to perform all due diligence. "Proposed subdivision" plan attached. See Offer Instructions attached.
| 19 hours ago | Listing updated with changes from the MLS® | |
| 19 hours ago | Listing first seen on site |
The property listing data and information, or the Images, set forth herein were provided to MLS Property Information Network, Inc. from third party sources, including sellers, lessors, landlords, and public records, and were compiled by MLS Property Information Network, Inc. The property listing data and information, and the Images, are for the personal, non-commercial use of consumers having a good faith interest in purchasing, leasing or renting listed properties of the type displayed to them and may not be used for any purpose other than to identify prospective properties which such consumers may have a good faith interest in purchasing, leasing or renting. MLS Property Information Network, Inc. and its subscribers disclaim any and all representations and warranties as to the accuracy of the property listing data and information, or as to the accuracy of any of the Images, set forth herein.
Last checked 2026-01-10 09:00 AM UTC
Did you know? You can invite friends and family to your search. They can join your search, rate and discuss listings with you.